Excerpt
TAKE NOTICE that the Corporation of the City of Barrie intends to consider passage of a by-law, under Section 48 of the Municipal Act, 2001, S.O. 2001, c. 25, as amended, to name a private street(s).
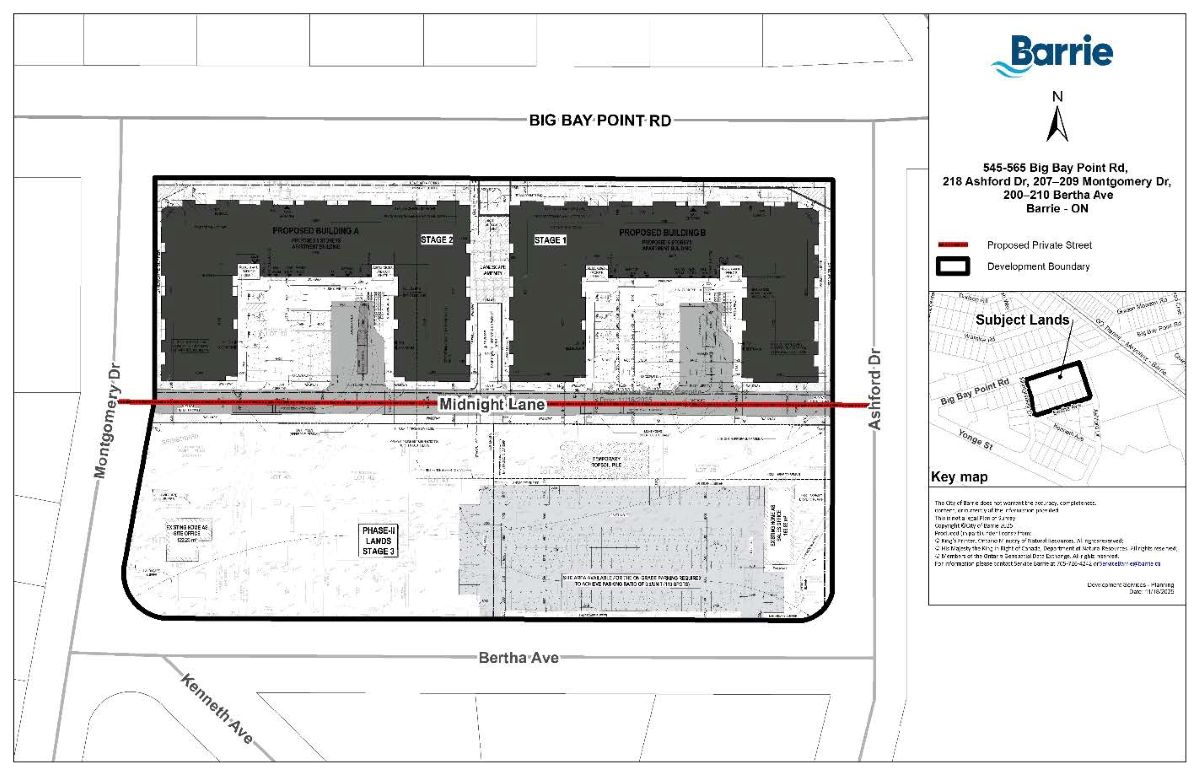
The private street name refers to the proposed private road(s) on the Big Bay Twins Multi-family Residential Buildings development proposed on lands municipally known as 545–565 Big Bay Point Road, 218 Ashford Drive, 207–209 Montgomery Drive & 200–210 Bertha Avenue, City of Barrie.
The following name was selected from the Municipal Name Registry; a central repository of all approved names for streets, parks, and facilities that includes qualifying names as suggested by the public and the developers:
- Midnight Lane
If you wish to make a submission concerning this matter, you must make a written submission to the undersigned by January 22, 2026.
If you wish to be notified of the passing to the by-law for the proposed private street name(s), you must make a written submission to the undersigned.
More information on this development is available on the development project webpage.
Olga Sanchez, Planning Services Technical Coordinator
705-739-4220, Ext. 4380
Olga.Sanchez@barrie.ca
City of Barrie
70 Collier Street, P.O. Box 400, Barrie, ON, L4M 4T5
TAKE NOTICE that the Corporation of the City of Barrie intends to consider passage of a by-law, under Section 48 of the Municipal Act, 2001, S.O. 2001, c. 25, as amended, to name a private street(s).
The private street name refers to the proposed private road(s) on the Big Bay Twins Multi-family Residential Buildings development proposed on lands municipally known as 545–565 Big Bay Point Road, 218 Ashford Drive, 207–209 Montgomery Drive & 200–210 Bertha Avenue, City of Barrie.
The following name was selected from the Municipal Name Registry; a central repository of all approved names for streets, parks, and facilities that includes qualifying names as suggested by the public and the developers:
- Midnight Lane
If you wish to make a submission concerning this matter, you must make a written submission to the undersigned by January 22, 2026.
If you wish to be notified of the passing to the by-law for the proposed private street name(s), you must make a written submission to the undersigned.
More information on this development is available on the development project webpage.
Olga Sanchez, Planning Services Technical Coordinator
705-739-4220, Ext. 4380
Olga.Sanchez@barrie.ca
City of Barrie
70 Collier Street, P.O. Box 400, Barrie, ON, L4M 4T5
