Project Information Meeting: Edgehill Drive Sidewalk Infill

Wednesday, April 22, 2026 | 5:00–7:00pm

Location
Northwest Barrie United Church
Address
464 Ferndale Drive North, Barrie
Organization
City of Barrie
Contact
Julia Vanderkuylen
Phone
705-739-4220 x4449
Email
Julia.Vanderkuylen@barrie.ca

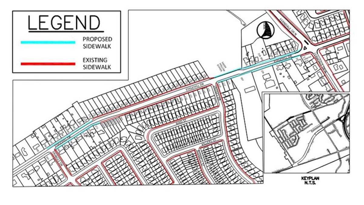
The City invites you to attend the project information meeting to learn about the Edgehill Drive sidewalk infill project and provide your input. A meeting notice is being distributed to nearby residents. 

At the meeting, the project team will:

  • Present the project scope, schedule, and details to the public
  • Describe the proposed construction, including traffic control measures
  • Provide an opportunity for the public to ask questions to City representatives
  • Gather input from the public on the detailed design
  • Discuss any concerns regarding construction activities

This is a drop-in style event with project team members available to answer questions, receive feedback and discuss your thoughts on the project.

Please park in the back parking lot and enter the building through the entrance facing Horsfield Drive. We will have signage posted to direct you to the meeting room.